조황관리HOME / 조황관리 / 상세정보

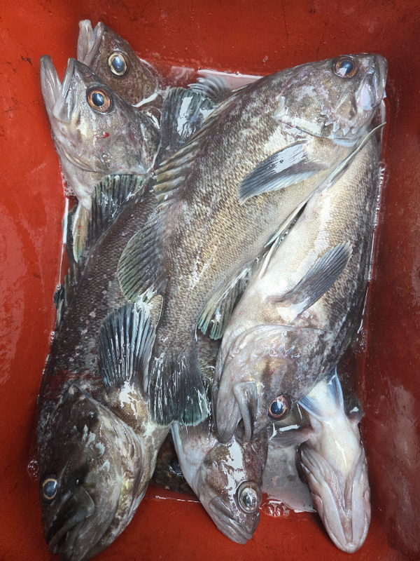
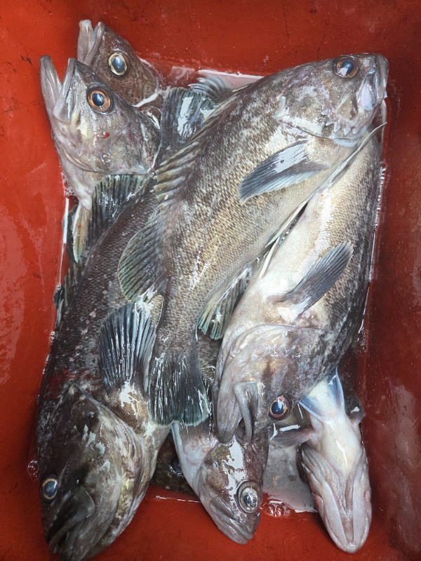
제목 : 12월13일 조황 입니다
등록일 : 2025-12-13




10645.jpg


10648.jpg


10642.jpg


10632.jpg


10610.jpg


10595.jpg


10551.jpg


10554.jpg


10594.jpg


10595.jpg


10635.jpg


10644.jpg


10645.jpg


10563.jpg



오늘  10분 조사님  모시고 내만권  먼바다  출조 하였 습니다
파도와 추운날씨에 낚시 하신 조사님들 모두  
수고하셨습니다

(( 안전한 )귀갓길 되시고,

다음 출조 다시 뵙겠습니다.

감사합니다.
  (12월15일  예약 받습니다)
전화 주세요

 

*** 태안 안흥1호 예약 안내 ***


예약문의 : 010-6423-1269

오시는길 : 충남 태안군 근흥면 안흥3길 12

모바일.jpg 

Top